Aggioranmento Uragano Irma Barbuda. La quasi totalità delle strutture dell’isola è stata distrutta dal passaggio dell’uragano Irma mentre ancora non si è potuto contattare gli abitanti. Lo afferma il primo ministro di Antigua e Barbuda, Gaston Browne, tramite The Guardian.
***
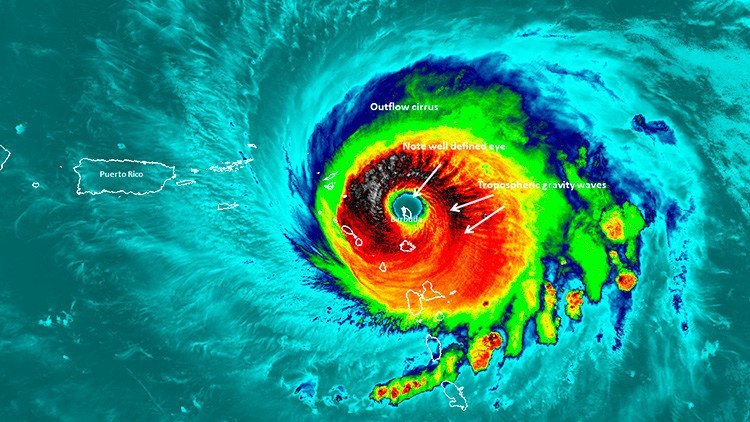
Il mondo in ansia per Isola ad Antigua e Barbuda per il passaggio di Irma, considerato l’uragano più forte dell’Atlantico, come dimostrato anche dal video filmato diffuso dalla NASA. L’ansia aumenta con il passare del tempo.
Sono già più di 12 ore senza notizie di Barbuda, senza alcuna informazione sullo stato in cui questa piccola isola dei Caraibi è stata lasciata dopo l’uragano Irma. Il silenzio, ovviamente, non è il migliore segnale possibile e tutto indica che il potenziale distruttivo del ciclone ha causato una significativa distruzione.
Le reti sociali continuano a mostrare interesse per la situazione dell’isola e, come di consueto, le informazioni affidabili sono mescolate a sciocchezze, false notizie e voci impossibili da confermare, in un vortice informativo in cui prevalgono confusioni e soprattutto incertezza.
Mentre Barbuda rimane in questo preoccupante silenzio, i meteorologi prevedono che l’uragano continuerà a ad aavanzare colpendo Porto Rico, la Repubblica Dominicana, Haiti, Bahamas sudorientali e parte di Cuba. Sono aree ugualmente minacciate dalla forza distruttiva di questo tremendo uragano e le autorità locali hanno già attivato protocolli di allerta. Secondo le stesse previsioni meteo, Irma potrebbe raggiungere lo Stato della Florida più tardi questa settimana.









